Lot 5 - FIRENZE, 72 Billacombe Road Plymstock, Plymouth, Devon PL9 7EX

Guide Price : £300,000 - £350,000
Sold : £395,000
Plymstock, Plymouth, Devon, PL9 7EX

Features

  • Freehold with vacant possession
  • A spacious detached double fronted bungalow of individual design and character in need of modernisation but with the added potential for further development.
  • Well suited for refurbishment as a good sized family dwelling with space for further building on the site which is of generous proportions subject to the necessary planning permission being obtained.
  • Enjoying the benefit of a favoured residential location with access from both the front and rear of the site

Tenure : Freehold

Freehold with vacant possession

Property Details

Location

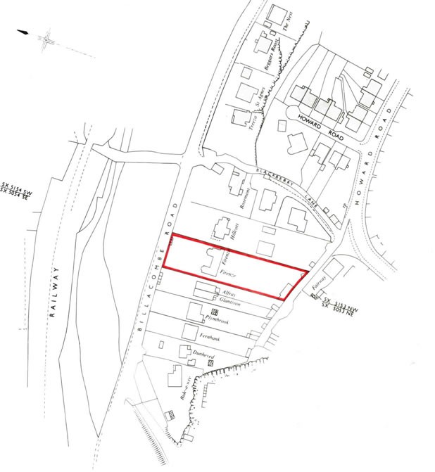
Firenze is located on the southern side of Billacombe Road with a rear access to Blackberry Lane and Howard Road. Local out of town shopping facilities are within easy walking distance and Plymouth City Centre is readily accessible some 3 miles or so to the west.

Description

Probably built during the inter-War period this spacious three bedroomed bungalow is of individual design. It occupies a sloping site of generous proportions affording the possibility of further development on the land provided that planning permission were to be obtained for any additional buildings to be erected. It enjoys the benefit of gas fired central heating and a range of outbuildings.

Accommodation

Entrance Hall, Sitting Room, Dining Room, Kitchen, No.1 Bedroom (double), No.2 Bedroom (double), No.3 Bedroom (double), Rear Hall, Utility Room, Bathroom and separate W.C.

Outside

Extensive gardens principally to the front and to the rear of the bungalow.

Outbuildings

Disused garage and a range of green houses and garden stores.

For illustrative purposes only and not necessarily correct in every detail. NOT TO SCALE
Prospective purchasers should satisfy themselves as to the actual layout by personal inspection. This plan is provided for location identification purposes only. It does not necessarily indicate the precise boundaries of the site.

Auction Information

  • Status : Sold
  • Result : £395,000

  • Residential Property Auction
  • Auction Date : Thursday 1 Nov 2018
  • Auction Start Time : 14:00
  • Auction Venue : The New Continental Hotel, Millbay Road, , Plymouth, PL1 3LD

Vendor Solicitors Information

GA SOLICITORS, 25 Lockyer Road, Plymouth, PLl 2QW
Tel: 01752 203559
FAX: 01752 203503
DX: 8284 PLY 2
Reference: Donna Butler

Sole Agents Information

Shobrooks

Curent EPC Rating : 30 - F